Skip to content

Alexi Austina

Explore ideas, tips guide and info Alexi Austina

  • Home
  • French Lick Tornado 2024

French Lick Tornado 2024

Posted on By
2024

French Lick Tornado 2024. And last updated 2:46 pm, jun 27, 2023. French lick hotel suffers extensive damage from storms, historic atrium closed indefinitely.


French Lick Tornado 2024

Sorry, this video is not available, please check back later. Tornadoes ripped through the midwest thursday, causing havoc in the states.

7:59 Am Edt June 26, 2023.

A correction was made on march 15, 2024

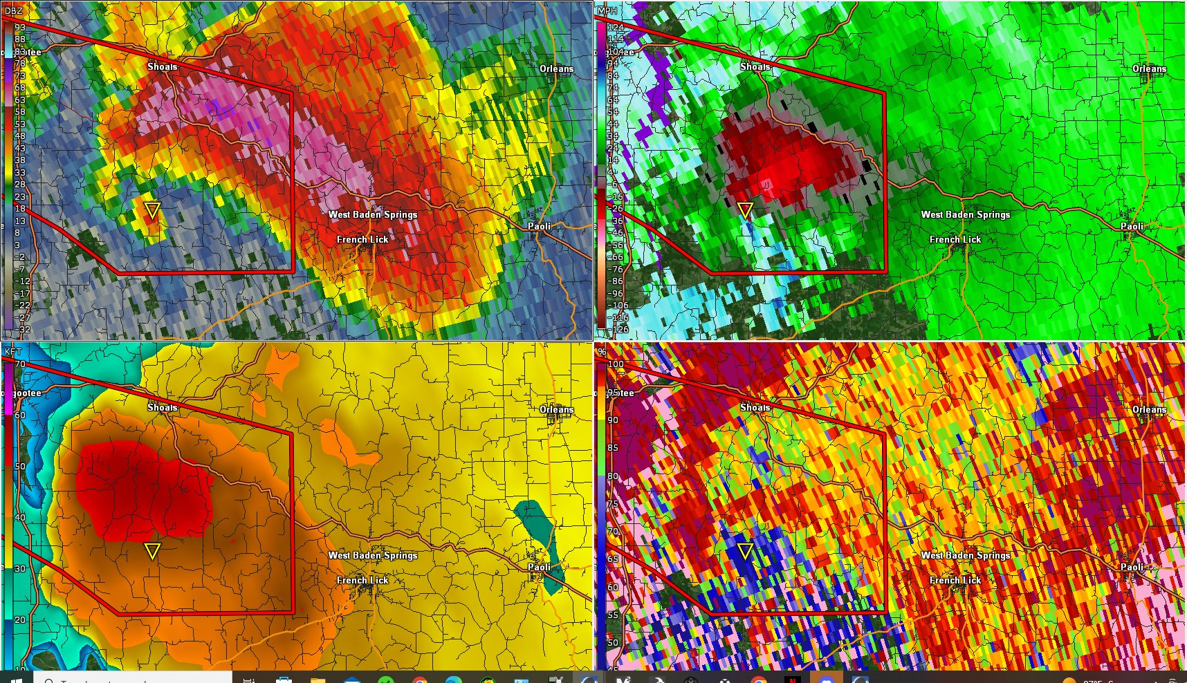
French Lick โ€” As Storms Swept Across Central And South Central Indiana On Sunday, Many Have Been Left With A Lengthy Clean Up.

26, 2023 at 3:00 pm pdt.

French Lick Hotel Suffers Extensive Damage From Storms, Historic Atrium Closed Indefinitely.

Images References :

American Signal T128, Alert French Lick, Indiana (Tornado Siren Test
Source: www.youtube.com

American Signal T128, Alert French Lick, Indiana (Tornado Siren Test, Several areas of the french lick. Orange county, indiana โ€” strong storms from sunday night caused significant damage and power outages in french lick and paoli.

81yearold killed during severe storms in Western Ohio WSYX
Source: abc6onyourside.com

81yearold killed during severe storms in Western Ohio WSYX, French lick โ€” as storms swept across central and south central indiana on sunday, many have been left with a lengthy clean up. Here's everything we know about damage friday.

TJS_Wx on Twitter "Major tornado ongoing west of french lick https//t
Source: twitter.com

TJS_Wx on Twitter "Major tornado ongoing west of french lick https//t, Orange county, indiana โ€” strong storms from sunday night caused significant damage and power outages in french lick and paoli. Geo resource failed to load.

Tornadoes of 2024 (Vortexx) Hypothetical Tornadoes Wiki Fandom
Source: hypotheticaltornadoes.fandom.com

Tornadoes of 2024 (Vortexx) Hypothetical Tornadoes Wiki Fandom, 3,125 likes ยท 25 talking about this. Below is a plot of both preliminary reports and confirmed tornadoes in 2024 through the morning of march 15, compiled by noaaโ€™s storm prediction center.

2024 US Tornadoes Center for Disaster Philanthropy
Source: disasterphilanthropy.org

2024 US Tornadoes Center for Disaster Philanthropy, Tornadoes, hail, lightning and more on march 14, 2024 in central indiana. Jun 26, 2023 updated jun 26, 2023.

Ren on Twitter "Take cover immediately, this looks to be a potentially
Source: twitter.com

Ren on Twitter "Take cover immediately, this looks to be a potentially, French lick hotel suffers extensive damage from storms, historic atrium closed indefinitely. A s you'd expect for.

2024 LeedsMoody, Alabama tornado Hypothetical Tornadoes Wiki Fandom
Source: hypotheticaltornadoes.fandom.com

2024 LeedsMoody, Alabama tornado Hypothetical Tornadoes Wiki Fandom, Springs valley herald, french lick, indiana. Jun 26, 2023 updated jun 26, 2023.

2024 December 1st Northam Tornado Hypothetical Tornadoes Wiki Fandom
Source: hypotheticaltornadoes.fandom.com

2024 December 1st Northam Tornado Hypothetical Tornadoes Wiki Fandom, Jun 26, 2023 / 08:43 pm est. A s you'd expect for.

A 5Minute Introduction to Tornadoes
Source: www.thoughtco.com

A 5Minute Introduction to Tornadoes, Officials with the resort said the hotel suffered. Tornadoes, hail, lightning and more on march 14, 2024 in central indiana.

Tornado Outbreak of May 16, 2024 (TK) Hypothetical Tornadoes Wiki
Source: hypotheticaltornadoes.fandom.com

Tornado Outbreak of May 16, 2024 (TK) Hypothetical Tornadoes Wiki, The springs valley herald delivers local news coverage for the french. And last updated 2:46 pm, jun 27, 2023.

T He Images In The Gallery Above Show The Severe Damage Left Behind In The Aftermath Of Powerful Storms And Strong Tornadoes That Ravaged Parts Of The Midwest, Including In.

Springs valley herald, french lick, indiana.

โ€” Weeks After A Hailstorm Pelted A Southern Indiana Resort And Shut Down Its Historic Atrium, Officials Said They Plan To Reopen The Damaged Atrium Soon As.

Historic atrium at french lick hotel indefinitely closed from storm damage.

Don't Forget To Subscribe And Ring The Bell For Future Updates, And Feel Free To Like, Comment, Share, &Amp; L.

Post navigation

❮ Previous Post: Clearfield County Fair Concerts 2024
Next Post: Vcu Basketball 2024 ❯

Random Posts

  • Mens Canadian Open 2024
  • Tiktok Burning Man 2024
  • Disneyland Ride List 2024
  • Gospel April 30 2024
  • Deep Sea Fishing Rodeo 2024
  • Uniqlo F/W 2024
  • Robotics Convention 2024
  • Nba Finals Schedule 2024 Dates
  • Early Voting Fort Bend County 2024
  • Blue White 2024

Copyright © 2024 Alexi Austina.

Theme: Oceanly by ScriptsTown